4 Bedroom
2 Bathroom
1,751 sqft
Fireplace
None
Baseboard Heaters
Acreage
$1,199,000
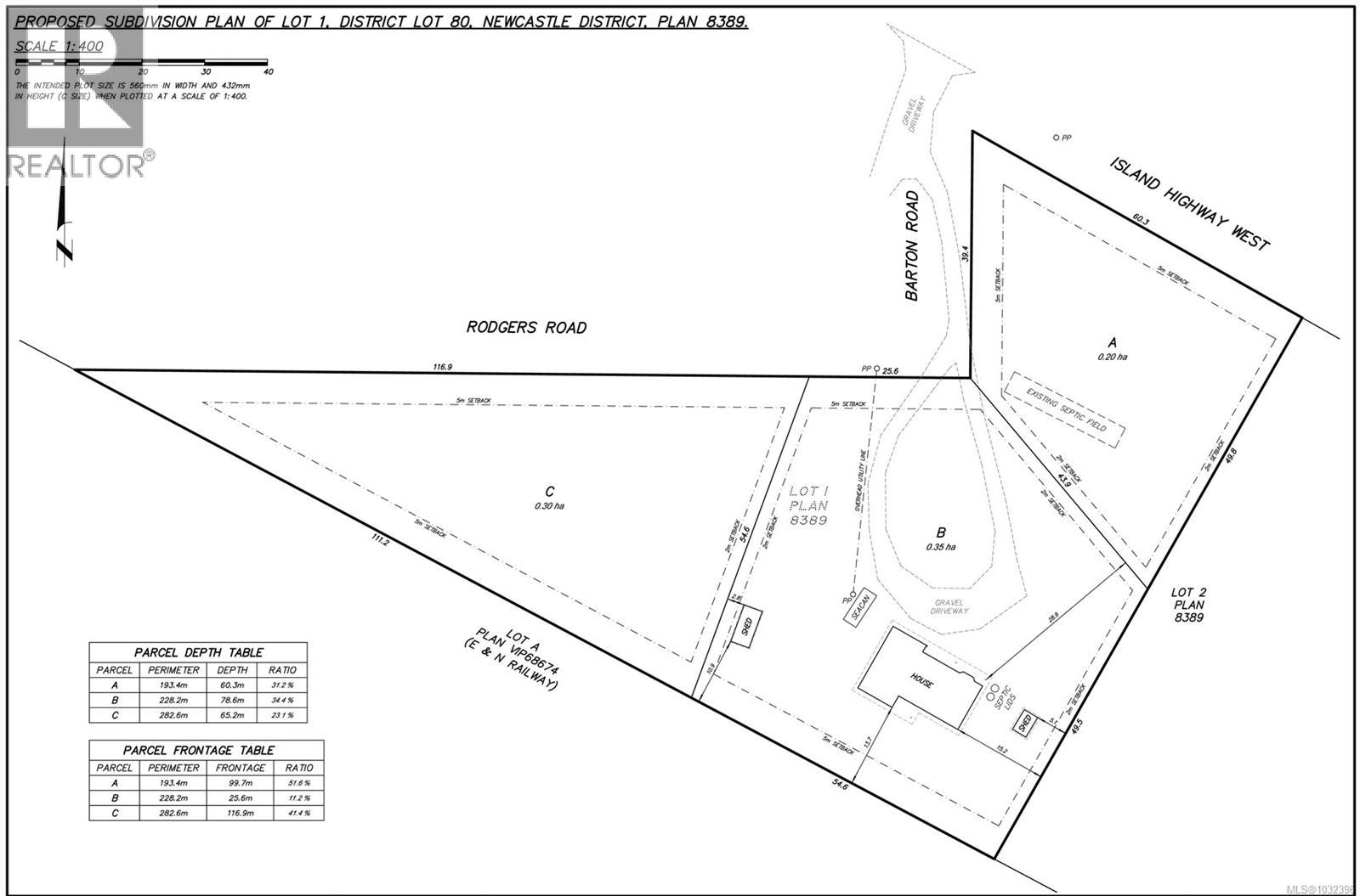
3-LOT SUBDIVISION OPPORTUNITY in a prime rural setting just 5 minutes to Qualicum Beach. This 2.32-acre property is zoned RS2 and offers Preliminary Layout Approval for a freehold subdivision into three lots (approx. 0.49 acres, 0.74 acres, and 0.86 acres). The land is flat, usable, and includes some trees, creating an attractive setting for future builds. Community water is connected to the main parcel, with extension required for the additional lots, along with new septic systems and a short Barton Road extension. The existing 2-storey home is livable or rentable, with solid bones and renovation potential - ideal for an owner-builder or small developer to occupy while completing the project. Set back from the highway, with only one future lot bordering it, this is a manageable, phased development opportunity with strong upside in a desirable acreage location. For more information contact the listing agent, Kirk Walper at 250-228-4275. (id:63476)
Property Details
|
MLS® Number |
1032396 |
|
Property Type |
Single Family |
|
Neigbourhood |
Qualicum North |
|
Features |
Acreage |
|
Parking Space Total |
2 |
|
Plan |
Vip8389 |
|
Structure |
Patio(s) |
Building
|
Bathroom Total |
2 |
|
Bedrooms Total |
4 |
|
Constructed Date |
1981 |
|
Cooling Type |
None |
|
Fireplace Present |
Yes |
|
Fireplace Total |
1 |
|
Heating Type |
Baseboard Heaters |
|
Size Interior |
1,751 Sqft |
|
Type |
House |
Land
|
Access Type |
Road Access |
|
Acreage |
Yes |
|
Size Irregular |
2.32 |
|
Size Total |
2.32 Ac |
|
Size Total Text |
2.32 Ac |
|
Zoning Description |
Rs2 |
|
Zoning Type |
Residential |
Rooms
| Level | Type | Length | Width | Dimensions |
|---|
|
Second Level |
Bathroom | | |
4-Piece |
|
Second Level |
Bedroom | | |
7'9 x 6'11 |
|
Second Level |
Bedroom | | |
11'0 x 9'11 |
|
Second Level |
Bedroom | | |
11'11 x 9'11 |
|
Second Level |
Primary Bedroom | | |
15'0 x 10'11 |
|
Main Level |
Laundry Room | | |
14'5 x 5'7 |
|
Main Level |
Pantry | | |
10'6 x 5'7 |
|
Main Level |
Entrance | | |
6'8 x 6'3 |
|
Main Level |
Bathroom | | |
2-Piece |
|
Main Level |
Dining Nook | | |
11'6 x 6'2 |
|
Main Level |
Kitchen | | |
11'10 x 11'6 |
|
Main Level |
Living Room | | |
17'11 x 13'3 |
|
Main Level |
Dining Room | | |
11'6 x 10'11 |
|
Other |
Workshop | | |
12'4 x 9'10 |
|
Other |
Storage | | |
12'4 x 9'5 |
|
Other |
Patio | | |
11'11 x 7'0 |